Accessibility
UE

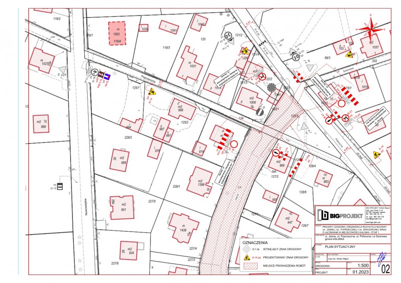
Zmiana organizacji ruchu na czas remontu ulicy Jasnej w Kaliskach

Zmiana organizacji ruchu na czas remontu ulicy Jasnej w Kaliskach

/media/pliki/pliki/tor-kaliska-etap-1-01.pdf

/media/pliki/pliki/tor-kaliska-etap-1-02.pdf